Refine Search

1644 E Grove Avenue, Rantoul, IL 61866

$61,750
  • 1644 E Grove Avenue, Rantoul, IL 61866 Main Photo

3 Total Photos [Click to View All]

Active
LOT SIZE 0.910 acres MLS#09485582
STATUSActive PROPERTY TYPELand - Farm SCHOOLDistrict 193

Property Description

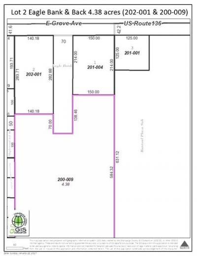
TWO PARCELS FRONT PARCEL FRONTING RT 136 IS ZONED COMMERICAL AND CONSISTS OF .912 ACRES AND IS 140 X 283 ON THE WEST SIDE OF LAND, THE SECOND PARCEL IS ZONED AGRICULTURE IS BEHIND PARCEL ONE AND CONSISTS OF 4.38 ACRES. THERE IS A 70 FT WIDE BY 352 FOOT STREET EASEMENT ADJACENT TO PARCEL ONE ON THE EAST SIDE AND IN FRONT OF PARCEL TWO THAT IS ALSO BEING FARMED BY TENANT FARMER. THEREBY THE REAR PARCEL IS NOT LAND LOCKED. PURCHASE BOTH PARCELS. TERRIFIC LOCATION FOR NEW BUSINESS. THE TWO PARCELS CONSIST OF 5.29 ACRES TOTAL

1644 E Grove Avenue | MLS# 09485582

This land located at 1644 E Grove Avenue, Rantoul, IL 61866 is currently listed for sale with an asking price of $61,750. The property has approximately 0.91 Acres. E Grove Avenue is located within the District 193 school district. Search Rantoul real estate on www.dickersonnieman.com today.

Property Features

Property Type: Land - Farm
Basement: None
Lot Size: 0.91 Acres
Taxes: $382

Feature Descriptions

Current Use: Agricultural
Frontage: 140
Frontage Type: City Street
Lot Dimensions: 140.18 X 282.88 X 140.18 X 283.71
Parcel#: 200901202001
Possible Use: Commercial
Road Surface: Concrete
Township: Rantoul
Utilities: Electricity Nearby, Natural Gas Nearby, Water Nearby

Local Schools

High School: RANTOUL TWP HS
Middle School: RANTOUL JUNIOR HIGH SCHOOL
Elementary School: RANTOUL ELEMENTARY SCHOOL
School District: District 193

Listed By / Shown By

Listed By

Agency Name: REALTY 2000,INC

Shown By

Agency Title: Dickerson & Nieman Realtors
Agency Phone: 815-227-5900

IDX logo

Estimate Your Payment

Estimated Payment

$ 187.27 per month $137.43 Principal & Interest $31.83 Property Tax $18.01 Homeowner's Insurance

Change Payment Information

%
years/fixed
yearly
yearly (est.)
(Payments are an estimate and may vary by lender)

Login to My Homefinder

Pixel